Subject: Development Opportunity: 43-Lot Subdivision Project in San Antonio

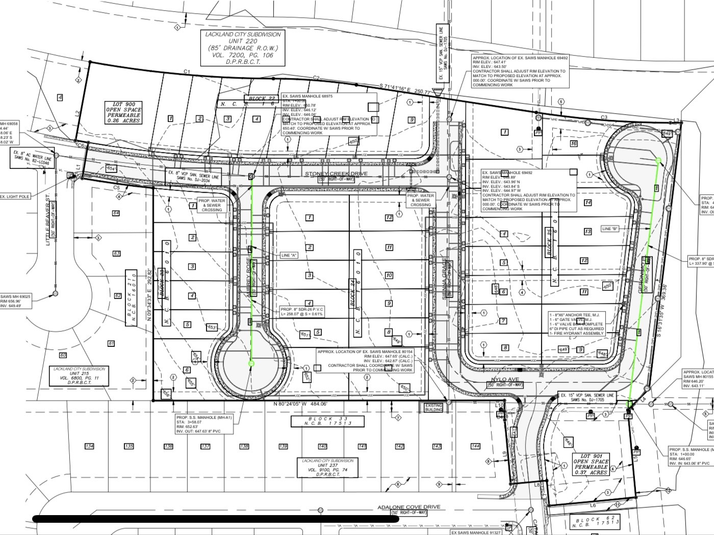
43-Lot Shovel-Ready Subdivision

Beholden Village

5800 Stoney Creek Drive, San Antonio, TX 78242

PROPERTY HIGHLIGHTS

An exceptional opportunity for residential developers, this 7.687-acre subdivision project offers 43 fully permitted single-family home lots in a rapidly growing area near Lackland AFB. Conveniently located just minutes from I-410 and downtown San Antonio, the property is ready for immediate construction and positioned for long-term growth in one of the city’s most active residential corridors.

  • Size: ±7.687 acres

  • Price: $339,700

  • Zoning: R-4

  • Approved Lots: 43 single-family homes

  • Status: Fully permitted, shovel-ready

  • Location: Near I-410 & Lackland AFB

  • Ideal For: Developers or builders seeking ready-to-build residential projects

For more information, please contact:


Amanda Concha

(210) 201-0061 Ext. 1

Amanda.concha@corecommercialsa.com


Jesus Meave

(210) 396-1763

Jesus.meave@gmail.com


Powered by:
GetResponse